Estado Mayor Nacional de la Defensa Civil declara fase de alerta para el oriente de Cuba
En su nota informativa no 2 sobre la Tormenta Tropical Melissa, emitida al mediodía de este sábado, el Estado Mayor de la Defensa Civil estableció la fase de Alerta desde las 15:00 horas para las provincias de Guantánamo, Santiago de Cuba, Granma, Holguín, Las Tunas y Camagüey y la Fase Informativa para las provincias de Ciego de Ávila y Sancti Spíritus.
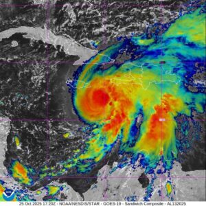
De acuerdo con la información del Centro de Pronósticos del Instituto de Meteorología, durante las últimas horas la tormenta tropical Melissa ha mostrado una mejor organización y un incremento en su intensidad, indicó la nota.
En las próximas 24 horas este organismo ciclónico inclinará gradualmente su trayectoria hacia el oeste noroeste y oeste, desplazándose lentamente por los mares al sur de Jamaica. Se prevé que el sistema continúe ganando en organización e intensidad, llegando a convertirse en un huracán en el día de hoy representando un peligro potencial para el territorio cubano.
Se orienta a la población mantenerse informada a través de los medios de comunicación nacional, los perfiles oficiales de las redes sociales y cumplir disciplinadamente con las indicaciones que impartan las autoridades locales y la Defensa Civil.
El Estado Mayor Nacional de la Defensa Civil y los Institutos de Meteorología y Nacional de Recursos Hidráulicos, mantienen vigilancia sobre la evolución de este organismo ciclónico.
Estado Mayor Nacional de la Defensa Civil
Melissa se convierte en huracán con vientos de 120 kilómetros por hora
Foto: Instituto de Meteorología
El Instituto de Meteorología informó en su perfil en Telegram que Melissa alcanzó la categoría de huracán este sábado, con vientos superiores a los 120 kilómetros por hora.
El organismo ciclónico actualmente se localiza a 345 kilómetros de Kingston, Jamaica, y a 405 kilómetros de Puerto Príncipe, Haití, sin embargo, existe una previsión de dónde y a qué hora impactará en tierra.
Cinco países se encuentran en alerta ante el paso de este fenómeno meteorológico: Jamaica, Haití, República Dominicana, Bahamas y Cuba.
